Request a visit or informationRequest a visit or information
Wassim Ibrahim

Wassim Ibrahim
Residential and Commercial Real Estate Broker

Cellular : 5143161333
Office : 4506820101


Add to my favorites
Lot for sale, Lorraine |
$849,000

1 / 2
To be built
To be built
1/4    To be built
Aerial photo
2/4    Aerial photo
Aerial photo
3/4    Aerial photo
Aerial photo
4/4    Aerial photo

36, Ch. de Brisach, Lorraine
Centris No. 20857207

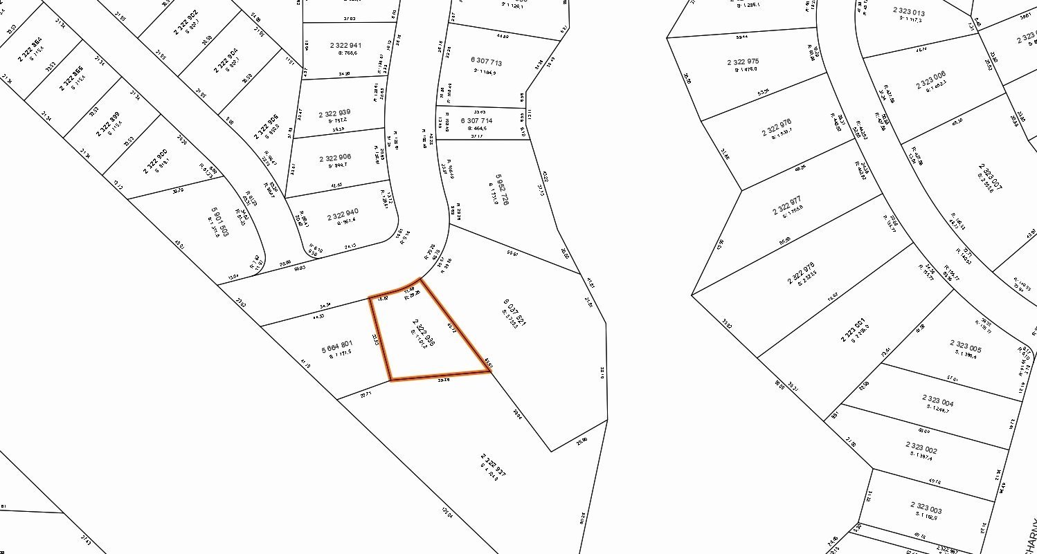
Located in the town of Lorraine, this 1,101.2 m² site offers excellent potential for a residential project in a quiet, well-established area. Ideally located near established residential neighborhoods, schools, services, and major roads, this site stands out for its accessibility and development potential. Any construction or development plans must be approved by the buyer with the City, including the necessary verification of permits and applicable regulations. The infrastructure costs payable to the City of Lorraine will be borne by the Seller.

Detailed information

Characteristics

Property Type
Lot
Year of construction
Type of building
Trade possible
Building dimensions
Living Area
Lot dimensions
21.51 m x 45.72 m - irr
Deed of Sale Signature
30 days
Zoning
Residential
Pool
Water supply
None
Parking (total)
Driveway
Roofing
Garage
Siding
Lot
Windows
Topography
Window Type
Distinctive Features
Energy/Heating
View
Basement
Proximity
Public transport, High school, Elementary school, Bicycle path, Park - green area, Golf, Daycare centre, Cegep, Highway
Bathroom
Distinctive features
Wooded lot: hardwood trees
Sewage system
None
Dimensions
Lot frontage
21.51 m
Depth of field
45.72 m
Lot dimensions (Sq. ft.)
1,101.20 m²
Fees and taxes
School taxes :
$314 (2025)
Municipal Taxes :
$9,494 (2025)
Total
$9,808
Municipal evaluation
Year
2025
Lot
$599,199
Building
$1
Total
$599,200
Read more Read less

Addenda


Located in the town of Lorraine, this 1,101.2 m² site

offers excellent potential for a residential project in a

quiet, well-established area. With its generous size, it

allows you to plan a construction project that suits your

needs, in an environment where quality of life is a

priority.

The land benefits from a strategic location, close to

schools, essential services, and major roads, making daily

travel easy.

The buyer must carry out all necessary verifications with

the City regarding permits, authorized uses, and applicable

municipal regulations.

An opportunity not to be missed to build in one of the most

sought-after areas of the region.

Read more Read less

Calculators

Purchase price :
Interest rate :
Amortization:
Down payment:
Mortgage amount:
Ville:
Purchase price:
Payment :
You must specify the amount of the payment.
Payment frequency :
Interest rate :
Amortization period :
Down payment

In the same district